发布时间:2025年05月09日 来源:突泉县住建局 字体: 大 中 小 浏览次数:
为进一步加强我县污水排放管理,方便居民生产生活污水排放,保障居民生活环境整洁,达到城区污水排放应收尽收,在城区设立指定污水排放点。现将有关事项提示如下:
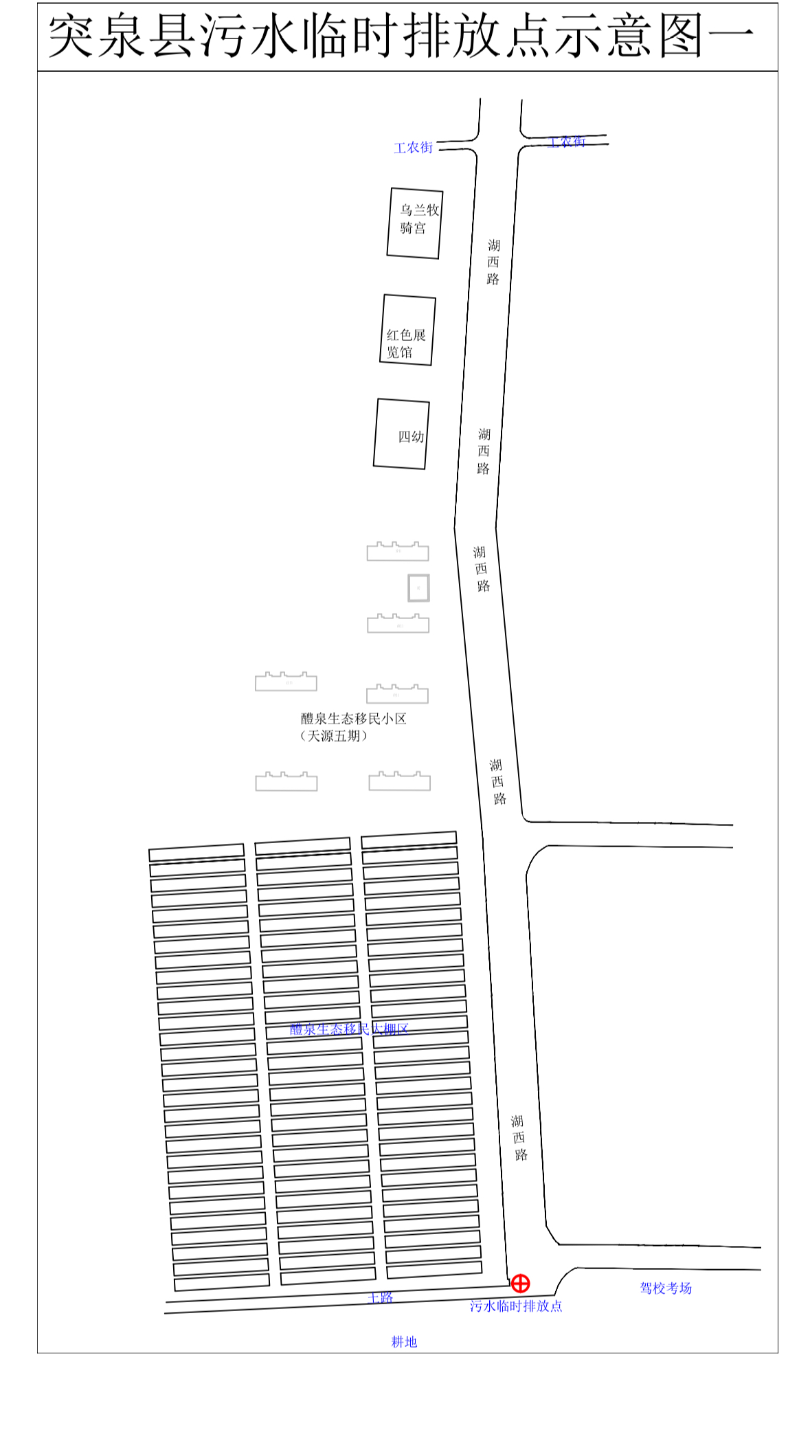
一、指定污水排放点具体位置
点位1:城区湖西路南终端,醴泉小区大棚区东南角(详见点位示意图)。
点位2:城区新华路、醴泉街交叉口(详见点位示意图)。
二、指定污水排放点使用规范
1、禁止倾倒垃圾:不得倾倒垃圾、杂物、建筑废料等固体废弃物,避免造成泄污点堵塞。
2、污水种类:主要用于排放生产生活污水。
3、爱护设施:请使用单位及居民规范使用,不得故意破坏、损坏排污点附属设施。如发现设施损坏,请及时联系城区管理部门。


打印本页 我要纠错 关闭
相关文章